
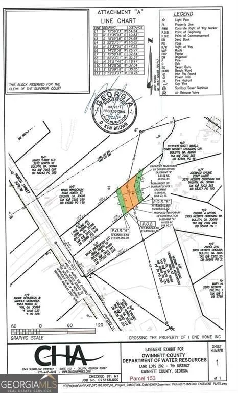
Opportunity meets location at 3590 North Street in Duluth - a generous 16,553 sqft lot. Whether you're looking to build a custom residence or invest in a prime piece of real estate, this parcel provides an ideal canvas in one of Metro Atlanta's most sought-after areas. This property is offered as-is without permits or a land survey. However, professional floor plans are available upon request, offering a clear vision of what's possible. The lot includes a temporary easement (green) and a permanent easement (orange) associated with future public sewer construction. Septic installation is required until public utilities are available. Please contact the county for information on the public sewer construction. Positioned near Duluth's vibrant downtown, excellent shopping, and major commuter routes, this land combines practical development potential with a high-appeal location. For floor plans and more details, contact us directly.
The data relating to real estate for sale on this web site comes in part from the Broker Reciprocity Program of GAMLS. All real estate listings are marked with the GAMLS Broker Reciprocity thumbnail logo and detailed information about them includes the name of the listing brokers. The broker providing these data believes them to be correct, but advises interested parties to confirm them before relying on them in a purchase decision. Copyright 2023 GAMLS. All rights reserved.
Last Updated: . Source: GAMLS
Provided By
Listing Agent: Emiko Yang (#YANGEMIKO)
Listing Office: BHHS Georgia Properties (#BHHS05)

Get an estimate on monthly payments on this property.
Note: The results shown are estimates only and do not include all factors. Speak with a licensed agent or loan provider for exact details. This tool is sourced from CloseHack.